New Training Video: Dynamic Elevation Service in ArcGIS Pro and AGOL | U.S. Geological Survey
Learn how to use the 3D Elevation Program’s Dynamic Elevation Service in ArcGIS Pro and ArcGIS Online (AGOL) in a new training video released by the National Geospatial Program.
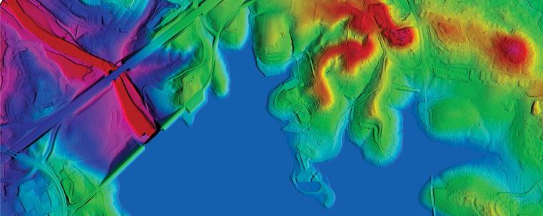
Consolidated Standardized Survey-Grade Checkpoints 3DEP 2010 to 2017 [USGS]
--
https://www.sciencebase.gov/catalog/item/67075e6bd34e969edc59c3e7--
“One of the key aspects of 3DEP data is that data is verified by a collection of certified survey-grade GNSS checkpoints spread throughout each project. These points have always been available but were difficult to find and not standardized. [The USGS] have collated and standardized almost 42,000 of these checkpoints and are making them available for other uses. These points here in this first phase span from 2010-2017, but [the USGS] are in the process of making these available for all [their] projects, and hope to enable them in different ways in the future...”
#GIS #spatial #mapping #USGS #USA #elevation #opendata #remotesensing #LiDAR #ifSAR #3dep #3dhp #water #hydrology #3d #opendata #3dtnm #checkpoint #checkpointdigital #GNS #GPS #NGD #DEM #survey #surveygrade #accuracy #precision #calibration #digital #NGTOC #NAD83@USGS
Consolidated Standardized Survey-Grade Checkpoints 3DEP 2010 to 2017 - ScienceBase-Catalog
The 3D Elevation Program (3DEP) is managed by the U.S. Geological Survey (USGS) National Geospatial Program to respond to growing needs for high-quality topographic data and for a wide range of other three-dimensional (3D) representations of the Nation's natural and constructed features. 3DEP informs critical decisions that are made across our Nation every day that depend on elevation data, ranging from immediate safety of life, property, and environment to long term planning for infrastructure projects. Lidar, an airborne laser detection technology for mapping features on the ground, is being collected nationwide, while Interferometric Synthetic Aperture Radar (IfSAR) is being collected over Alaska. Assessing the accuracy of the lidar point cloud data collected for 3DEP is defined in the Lidar Base Specification (https://www.usgs.gov/ngp-standards-and-specifications/lidar-base-specification-online). The vertical accuracy of the lidar and IfSAR data and the derived Digital Elevation Models (DEMs) is the most scrutinized accuracy metric. 3DEP data are assessed and reported in accordance with the American Society of Photogrammetry and Remote Sensing (ASPRS) Positional Accuracy Standards for Digital Geospatial Data. Vegetated vertical accuracy (VVA) and non-vegetated vertical accuracy (NVA) are assessed for absolute vertical accuracy compared to survey-grade checkpoints collected with Global Navigation Satellite System (GNSS) receivers by professional land surveyors. These checkpoints are published with 3DEP projects (https://rockyweb.usgs.gov/vdelivery/Datasets/Staged/Elevation/metadata/) and represent tens of millions of dollars of high accuracy data that can be used to assess both 3DEP and other endeavors such as the Seamless 1-m DEM that the National Geospatial Directorate is producing to support the USGS 3D National Topography Model. However, these checkpoints were not standardized until Lidar Base Specification 2022 rev. A. All checkpoints prior to this revision were delivered by contractors in XML, PDFs, excel spreadsheets, CSVs, shapefiles, and geodatabase feature classes depending on the preference of the lidar contractors and 3DEP partners. In 2021, the National Geospatial Technical Operations Center (NGTOC) consolidated the checkpoints in the 3DEP and older lidar/IfSAR data holdings gathered between 2010-2017 to support research for and the eventual publication of a journal article called “The Accuracy and Consistency of 3D Elevation Program Data: A Systematic Analysis” (https://doi.org/10.3390/rs14040940). In 2024, NGTOC enriched and standardized the points used in that paper to match the current survey point delivery schema. This included re-projecting the data horizontally to North American Datum of 1983 (NAD83) (2011) geographic, deleting duplicate points, identifying the point type as NVA or VVA, identifying matching work unit and project ID numbers within the Work Unit Extent Spatial Metadata, verifying the correct geoid models, using National Oceanic and Atmospheric Administration’s (NOAA) National Geodetic Survey (NGS) VDatum tool to update the Z elevation values in the conterminous United States (CONUS) and Puerto Rico into meters and GEOID18 and everything in Hawaii and Alaska into meters and GEOID12B, determining the collection date and the publication date, and finding the URL to the source information where possible. This is the first version of the 3DEP checkpoints database which includes 41,958 survey-grade points from 205 lidar and IfSAR projects covering 710 published work units. NGTOC will update this database with additional checkpoints in 2025.
3D Elevation data crucial to supporting the Nation’s infrastructure and maintaining economic security | U.S. Geological Survey
While most Americans probably aren’t familiar with the 3D Elevation Program, or 3DEP, their lives have been unknowingly touched by the power of its data.
The Basics of LiDAR - Light Detection and Ranging - Remote Sensing [tree focused]
--
https://www.neonscience.org/resources/learning-hub/tutorials/LiDAR-basics <-- shared tutorial
--
[this post should not be considered an endorsement of any organisation, but is shared for learning purposes]
“LiDAR or Light Detection and Ranging is an active remote sensing system that can be used to measure vegetation height across wide areas.
This [tutorial] page… introduce[s the] fundamental LiDAR (or lidar) concepts including:
• What LiDAR data are.
• The key attributes of LiDAR data.
• How LiDAR data are used to measure trees...”
#GIS #spatial #mapping #elevation #spatialdata #spatialanalysis #data #digital #DEM #digitalelevationmodel #spatialanalysis #LiDAR #remotesensing #model #modeling #IFSAR #onlinelearning #onlinelessons #tutorial #landform #geomorphology #landforms #guide #vegetation #forest #forestry #tree #treesThe Basics of LiDAR - Light Detection and Ranging - Remote Sensing | NSF NEON | Open Data to Understand our Ecosystems
LiDAR or Light Detection and Ranging is an active remote sensing system that can be used to measure vegetation height across wide areas. This page will introduce fundamental LiDAR (or lidar) concepts including:

Types Of Remote Sensing: Devices And Their Applications
Basics of the active and passive types of remote sensing technology and examples of their practical implementations in various fields.
EOS Data AnalyticsAssessing landslide risks in Prince William Sound | U.S. Geological Survey
Anchorage, AK- A recent effort by the U.S. Geological Survey (USGS) has identified 43 different landslides in the Prince Williams Sound that showed movement between 2016 and 2022.
USGS 3DEP LiDAR Collection @ Microsoft
--
https://planetarycomputer.microsoft.com/dataset/group/3dep-LiDAR <-- Microsoft data / use case portal
--
“To respond to growing needs for high-quality elevation data, the goal of 3DEP is to complete acquisition of nationwide lidar (IfSAR in AK) to provide the first-ever national baseline of consistent high-resolution topographic elevation data – both bare earth and 3D point clouds. This dataset provides the raw 3D point clouds in the Cloud Optimized Point Cloud format, and various derived products as Cloud Optimized GeoTIFFs…”
#GIS #spatial #mapping #gischat #3dep #elevation #opendata #planetarycomputer #LiDAR #ifsar #USA #nationwide #acquistion #topography #topographic #dem #bareearth #pointclouds #cloudoptimization #geotiffs #download #library #usgs #microsoft @microsoft @usgs

Microsoft Planetary Computer
Supporting sustainability decision-making with the power of the cloud
Inflation Reduction Act accelerates USGS effort to collect high-resolution data of landscapes across 25 states | U.S. Geological Survey
Over $6 million in funding will support the USGS goal of nationwide high-resolution 3D data coverage.