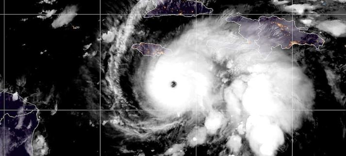
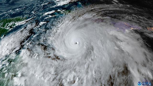
🎙️ ■ Melissa, el huracán que el cambio climático convirtió en un monstruo ■ Científicos del Imperial College de Londres confirman que el devastador huracán que arrasó Jamaica fue cuatro veces más probable por culpa del calentamiento global.
https://los40.com/2025/10/30/melissa-el-huracan-que-el-cambio-climatico-convirtio-en-un-monstruo/?int=MASTODON_WORLD
#huracanes #desastresnaturales #jamaica #cambioclimatico #planeta #elecodelos40 #marcaribe








