Through applied permaculture principles and proper stewardship it is possible to turn almost any piece of land into an abundant and thriving forest of food."" Can nature provide all we need or is factory farming the only answer?
https://www.onecommunityglobal.org/food-forest/

#SustainableLiving #EcoFriendlyHabits #NaturalCare #ZeroWasteLife #ChemicalFree #PooLess #GreenLifestyle #HealthySkin #EcoChoices #SustainabilityInAction

Spiti Valley`s chemical-free natural apples, boasting 13% higher firmness & 11% more sweetness. Experience premium taste, longer shelf life, and eco-friendly farming. https://english.mathrubhumi.com/features/agriculture/all-natural-himachals-spiti-apples-sold-for-9-lakh-lvthh3pd?utm_source=dlvr.it&utm_medium=mastodon #Apple #price #chemicalfree
The Science of Making Fruits and Veggies Last Longer | Jenny Du | TED

YouTube
Scientists May Have Found a Gentle, Chemical-Free Way to Remove Sweat Stains

Whether it’s tackling sweat or juice stains, blue light shows promise as a powerful stain remover.

Mental Floss

An example of genuinely-useful #AI. Note that it's not #GenAI or "agentic" (dear lords) AI.

Why aren't we usinf brains and resources on this kinda stuff, rather than the damage-in-every-direction other horror stuff? (Rhetorical question, but also not.)

#precisionagriculture #organic #chemicalfree

https://www.rnz.co.nz/national/programmes/ninetonoon/audio/2018997438/the-southland-veggie-grower-using-lasers

The Southland veggie grower using lasers

The family behind Southland organic vegetable growing business So Sweet have been farming for five generations. So Sweet, formerly Southern Cross Produce, grows and supplies root vegetables, like sweet parsnips and carrots, which managing director Matthew Malcolm says thrive in the Southern climate with cool air, long sunlight hours, and rich soils The firm recently adopted laser weeding technology to rid their fields of weeds, without using environmentally damaging herbicides. So Sweet managing director Matthew Malcolm speaks to Kathryn.

RNZ

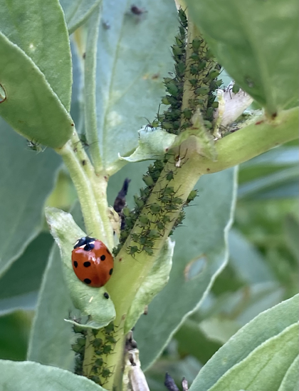
A gardener's best friend.
No pesticides, no problem. This is organic solution at its most simple and basic.

#chemicalfree #organicgardening #organicfarming #UrbanAgricultureSustainability

Here's an effective way to combat the high cost of pool chemicals and maintain a clean, clear pool naturally.
By using a natural bog filter, this method harnesses the power of beneficial bacteria and riparian plants to filter and purify the water, reducing the need for harsh chemicals while keeping the pool in top condition.
Materials:

Large container full of rocks and pebbles (e.g., a cheap trash can) Riparian pond plants (e.g., creeping Jenny, Japanese taro, and yellow flag iris) Pond pump (pumps enough gallons per hour to cycle the pool once every hour or two) PVC fittings for a spout and drain at the bottom of the filter Copper pieces (optional but helpful)
How It Works:
Setup: The pond pump pulls water through a flexible pipe into the bottom of the trash can. Water flows upwards through the layers of rocks, trapping debris and hosting beneficial bacteria. Filtered water spills out of the spout at the top. Filtration: The rocks trap debris and help filter the water. Beneficial bacteria consume nutrients and waste from decaying leaves, preventing algae growth. Riparian pond plants consume nutrients that algae would otherwise use to grow. Maintenance: Skim floating debris and vacuum settled debris regularly. Once a season, turn off the pump and open the drain at the bottom. Flush out any gathered debris by running your hose on top of the rocks. Keep the pump running 24/7; the power needed to run a small pond pump is negligible. Benefits: Chemical-free pool maintenance Cost-effective solution Fresh, clean water that is safe for skin
For detailed instructions and visuals, look up natural pools and bog filters on YouTube, especially the β€œbog filter in a barrel” by OzPonds.
Credit: Selah Harrison

Hashtags:

#PoolMaintenance #NaturalPool #BogFilter #ChemicalFree #PondPump #RiparianPlants #GreenPoolSolution #CostEffective #FreshWater #EcoFriendly #DIYFilter #AlgaePrevention #BeneficialBacteria #PoolCare #SustainableLiving #PoolTips #WaterFiltration #HealthyWater #PoolCleaning #BackyardDIY #OzPonds #ChemicalFreeLiving #PondFilter #NaturalWater

🌿 Herby Virus Repellent & Herbal Air Purifier – Breathe Pure! 🌿

Keep your space fresh & germ-free with Herby’s 100% herbal, chemical-free solutions.

βœ” Virus Repellent – Repels airborne viruses & bacteria
βœ” Herbal Air Purifier – Eliminates toxins, purifies naturally
βœ” Safe & Non-Toxic – Ideal for babies & pets

🌱 Breathe health, live safe!

πŸ”— Shop Now: https://herby.in/product-category/virus-repellents/

#PureAir #ChemicalFree #AyurvedicCare #SafeForAll #HealthyLiving

Virus Repellents - Herby

Herby

🌿 Herby Insect Repellents – Safe, Natural & Ayurvedic! 🌿

Ditch chemical-based repellents! Herby offers 100% herbal solutions for a pest-free home, safe for babies, adults & pets.

βœ” Mosquito Repellent – DEET-free, long-lasting protection
βœ” Ants & Bug Repellent – No toxic fumes
βœ” Cockroach & Lizard Repellent – Powerful yet safe

🌱 Gentle on family, tough on pests!

πŸ”— Shop Now: https://herby.in/product-category/insects-repellents/

#HerbyInsectRepellent #ChemicalFree #SafeForAll #AyurvedicProtection #HerbalSolution

Insects Repellents - Herby

Herby

🌿 Gentle Baby Care, Powered by Ayurveda – Choose Herby! πŸ‘ΆπŸ’š

Your baby deserves pure, safe care! Herby blends Ayurveda & modern science to create chemical-free, preservative-free baby products.

βœ” Herby Mosquito Repellent – 100% natural protection
βœ” Herby After Bite– Soothes irritation & redness
βœ” Hypoallergenic & Dermatologist-Tested

Protect your little one with Herby’s Ayurvedic Baby Care! 🌱✨

Shop Now: https://herby.in/product-category/baby-care/

#BabyCare #ChemicalFree #OrganicBabyProducts #SafeForBabies #Herby

Baby Care - Herby

Herby